TRILOCALE SEMI-RISTRUTTURATO A CASTIGLIONE DELLA VALLE

75.000 €
123 m²
Superficie
3
Locali
2
Camere
2
Bagni
in vendita
3 locali
Marsciano [Castiglione della Valle]
Descrizione
Nel cuore dell’antico borgo di Castiglione della Valle, in posizione centrale e suggestiva, affacciato direttamente sulla piazza principale e di fronte alla storica chiesa, proponiamo in vendita un appartamento trilocale situato al primo piano di un caratteristico rustico in pietra al piano terra, caratterizzato da ambienti accoglienti e autentici. L’atmosfera calda e suggestiva è arricchita dal camino, ideale per creare momenti di relax. Soluzione perfetta per chi cerca comfort e privacy in un contesto dal fascino tradizionale.

L’immobile, che necessita di interventi di ristrutturazione, conserva intatto il fascino dell’architettura tradizionale e offre ampie potenzialità di personalizzazione.

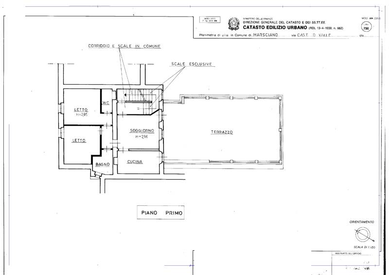
L’abitazione si compone di:
Ingresso, soggiorno con angolo cottura, dotato di accesso diretto a un ampio terrazzo abitabile di circa 94 mq, ideale per momenti di relax all’aperto o cene estive, corridoio di distribuzione, due camere da letto, di cui una con bagno privato interno, secondo bagno, finestrato, dotato di vasca.

L’appartamento, grazie alla sua posizione centrale e al contesto tranquillo e autentico, rappresenta una soluzione ideale sia come investimento che come punto d’appoggio per una fuga dalla città, perfetta per chi desidera immergersi nella quiete e nel fascino della campagna umbra, pur restando comodo ai principali collegamenti.

Per ulteriori informazioni o per prenotare una visita, non esitate a contattarci.
Caratteristiche principali
Codice:
V003412
Città:
Marsciano (Castiglione della Valle)
Categoria:
3 locali
Locali:
3
Camere:
2
Bagni:
2
Mq:
123
Terrazzi:
1
mq Terrazzo:
94
Piano:
1
Classe energetica:
Non applicabile
Stato Immobile:
Da Ristrutturare
Grado:
Medio
Posizione:
Centro
Panorama:
Vista Aperta
Lati Liberi:
1
Giardino:
No
Arredi:
Non Arredato
Tipo Soggiorno:
Soggiorno
Tipo Cucina:
Angolo Cottura
Riscaldamento:
Autonomo
Tipo Riscaldam.:
Caldaia
Tipo Impianto:
Termosifoni
Fonte Energetica:
Metano
Acqua Calda:
Autonoma
Raffrescamento:
No
Infissi:
Legno
Planimetrie
Mappa
PIAZZA DELLA VITTORIA , 6 - Marsciano (PG)
Cookie preference