CASA SINGOLA IN CENTRO A BASTIA UMBRA

115.000 €
170 m²
Superficie
6
Locali
4
Camere
2
Bagni
1
Box
in vendita
casa singola
Bastia Umbra
Descrizione
Per maggiori informazioni e appuntamenti chiamare lo 0753758317

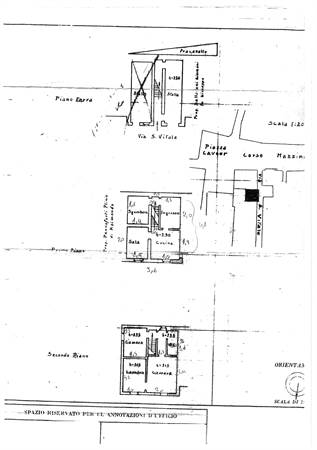
Questa incantevole casa singola in vendita a Bastia Umbra, di 170 metri quadrati, si sviluppa su due livelli e offre una soluzione abitativa versatile. Al piano terra, il primo spazio è un comodo monolocale con ingresso indipendente, composto da un unico ambiente con bagno, soggiorno e angolo cottura. Accanto, sempre con ingresso autonomo, si trova un secondo appartamento con cucina a vista, soggiorno, camera e bagno. Al piano superiore, raggiungibile tramite una scala interna, si apre la zona notte composta da tre spaziose camere matrimoniali e ulteriore bagno.
L'immobile si vende comprensivo di mobilio quindi pronto per essere abitato. Il riscaldamento autonomo garantisce la massima efficienza energetica e comfort in tutte le stagioni. La posizione, all'interno di una zona residenziale tranquilla ma ben collegata, è ideale per chi cerca un ambiente sereno senza rinunciare alla vicinanza a scuole, supermercati e servizi principali.
Al momento entrambe le soluzioni sono locate fino al 2026.
Caratteristiche principali
Codice:
V001820
Città:
Bastia Umbra
Categoria:
Casa singola
Locali:
6
Camere:
4
Bagni:
2
Mq:
170
Box:
1
Piano:
1
Classe energetica:
In fase di valutazione
Stato Immobile:
Buono
Arredi:
Arredato
Tipo Cucina:
A Vista
Riscaldamento:
Autonomo
Tipo Impianto:
Radiatori
Fonte Energetica:
Metano
Accessori
Video Citofono
Planimetrie
Cookie preference